Dave's Yak Tales

Cedar Key Sunset

Saturday, April 4, 2020

Crystal River

I would never go to Crystal River the weekend before Easter in normal times.  But, in these abnormal times, with few tourists, and manatee tours boats docked,  I took the opportunity.  On the water from the City ramp between Charlies Fish House and Bird's Underwater at 7:36














This is a spring




Two paddle boarders were behind me as I neared Three Sisters Springs.  They entered as I tied up the kayak to the rope line outside the spring. The rope is for that purpose.
Snorkeled to the spring run
Into the run from Three Sisters
The posts prevent large boats from entering

Snook





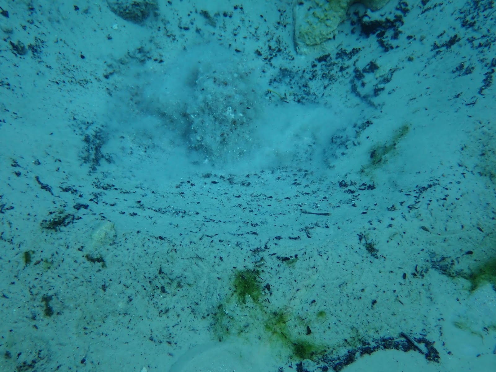
Sand and rock blowing from one of the vents on the right as you enter the springs



More sand and rocks blowing out
















Back in the kayak, I paddled in.

















Restoration project on Kings Bay








Kings Bay has Kings Spring
Also known as Tarpon Spring
Not, Sheepshead Spring.
Tarpon closeup


I saw a manatee before I got out of the kayak.  Snorkeled into the spring.  Heard one exhale. Did not see it, until, BOOM!.  

There it was.  Right next to me






Tarpon























Buffleheads















Hunters Spring Park.  Closed.












Hand over the side. Hunter Spring





A pair of manatees between Bird's Underwater and the Kings Bay Lodge




The pool at Kings Bay Lodge is a spring





Landed at 12:10

No comments: